Service Guide

Get Ants Extermination Service

Local contractors offer ant extermination services to eliminate infestations in residential or commercial properties, addressing pest problems and preventing future outbreaks.

Ants Extermination Services are a practical consideration for property owners facing persistent ant issues. Whether dealing with a small invasion or a larger infestation, finding experienced local contractors can help address the problem effectively. Exploring different service providers allows property owners to compare approaches and choose solutions that best fit their specific needs, ensuring a cleaner and more comfortable environment.

For those planning property maintenance or improvement projects, understanding the options available for ant control can be an important step. Connecting with local service providers enables property owners to gather information about their methods and expertise, making it easier to select a trusted partner for pest management. Continuing to explore these options can lead to a more informed decision tailored to the unique requirements of each property.

Get Ants Extermination Service Quotes

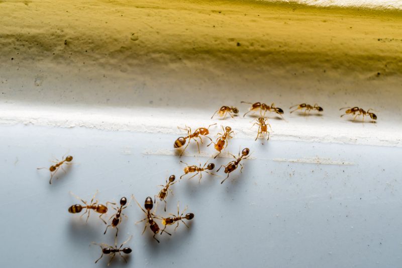
  • Ants Extermination - needed when ants invade a home or business and become a persistent nuisance.
  • Ants Prevention - sought after when there is a need to stop ant infestations before they start.
  • Ants Inspection - required to identify the extent of an ant problem and locate entry points.
  • Ants Removal - necessary when ant colonies have taken hold and require professional elimination.
  • Ants Control - essential for managing ongoing ant activity and preventing future invasions.
Ants Extermination Service
Ants Extermination Service
Ants Extermination Service

Ants extermination services involve professional treatments designed to eliminate ant colonies and prevent future invasions. These services typically include thorough inspections to identify the source of the ant problem, followed by targeted application of effective treatments. Service providers may use a combination of baits, dusts, and liquid solutions to ensure that both visible ants and hidden nests are addressed. The goal is to reduce ant activity quickly and to create a barrier that discourages new ants from entering the property.

Ant infestations can cause a variety of problems for homeowners. Aside from the nuisance of constant ants crawling indoors or across outdoor spaces, some species can contaminate food and surfaces, leading to hygiene concerns. In certain cases, ants may also cause structural damage by nesting in wood or insulation. Addressing these issues promptly with professional extermination services can help restore comfort and prevent larger infestations from developing, saving homeowners time and effort in the long run.

This type of service is commonly used on residential properties such as single-family homes, townhouses, and apartments. It is also applicable to multi-unit buildings where ant activity is detected, especially in common areas or shared outdoor spaces. Property owners and residents who notice signs of ants-such as trails, nests, or ant sightings around entry points-are advised to seek professional assistance. Regular treatments may also be recommended for properties prone to recurring ant problems or during peak infestation seasons.

Ants extermination services are suitable for any property experiencing persistent ant issues or seeking preventative measures. Homes with accessible entry points, such as gaps around windows, doors, or foundation cracks, are more vulnerable to invasions and may benefit from targeted treatments. Commercial properties, such as restaurants or food storage facilities, can also utilize these services to maintain cleanliness and comply with health standards. Local contractors offering these services can assess the specific needs of each property and recommend appropriate treatment plans to effectively control ant populations.

The overview below groups typical Ants Extermination Service projects into broad ranges so you can see how smaller, mid-sized, and larger jobs often compare in your area.

In many markets, a large share of routine jobs stays in the lower and middle ranges, while only a smaller percentage of projects moves into the highest bands when the work is more complex or site conditions are harder than average.

Initial Inspection - The cost for an initial ant inspection typically ranges from $100 to $200. Many routine inspections fall within this range, but more extensive assessments can reach $300 or more for larger properties.

Basic Treatment - Standard ant extermination services usually cost between $250 and $600 for smaller homes or simple infestations. Larger or more complex projects tend to cost $700 or higher, depending on the severity of the problem.

Ongoing Maintenance - Preventative treatments and follow-up visits generally cost $150 to $400 per session. Many properties require quarterly treatments within this range, while some larger or persistent infestations may push costs above $500 per visit.

Full Property Extermination - Complete eradication of an ant infestation across a large property can range from $1,000 to over $5,000. Most projects in this tier are for extensive or severe infestations that require comprehensive treatment plans.

Actual totals will depend on details like access to the work area, the scope of the project, and the materials selected, so use these as general starting points rather than exact figures.

Get a Quote

Pest Control for Cockroaches - local contractors use similar inspection, treatment, and prevention techniques to eliminate invasive pests from indoor spaces.

Termite Inspection and Treatment - professionals employ planning and specialized tools to detect and eradicate wood-destroying insects, sharing methods with ant extermination services.

Spider and Insect Removal - service providers utilize targeted approaches and equipment to manage various crawling insects, paralleling ant control strategies.

Rodent Exclusion Services - contractors design exclusion plans and use trapping tools akin to ant barrier techniques to prevent unwanted rodent entry.

Bed Bug Treatment - specialists apply inspection and treatment methods similar to ant services to address infestations in bedding and furniture.

Wildlife Removal and Control - local pros plan and implement humane removal strategies for nuisance animals, employing skills related to pest management services.

Ants Extermination Service

When evaluating contractors for ant extermination services, it’s important to consider their experience with similar projects. Homeowners should look for local service providers who have a proven track record in handling ant infestations comparable to their situation. An experienced contractor will understand the common challenges associated with ant control and be familiar with effective methods tailored to local conditions, which can contribute to a more efficient and successful treatment.

Clear written expectations are essential to ensure that both parties are aligned on the scope of work, procedures, and any follow-up measures. Homeowners are encouraged to seek out service providers who can provide detailed descriptions of their approach and what the customer can expect throughout the process. Having this information in writing helps prevent misunderstandings and ensures that the homeowner is fully informed before any work begins.

Reputable references and good communication are also key factors when choosing a local contractor for ant extermination. Pros with a history of positive feedback from previous clients and transparent communication practices demonstrate professionalism and reliability. Homeowners should consider reaching out to references or reviews to gauge the quality of service and responsiveness. Ultimately, selecting a service provider who communicates clearly and maintains open dialogue can lead to a smoother, more satisfactory experience in managing ant issues.

Get an Ants Extermination Service Quote

Property owners use Ants Extermination Service services for practical projects around their homes and businesses. This guide focuses on everyday jobs and straightforward project options.

Ants Extermination Service
Ants Extermination Service

Ants can quickly become a nuisance for property owners dealing with common household or yard issues. Whether ants are invading kitchens, nesting in gardens, or building trails along walkways, many people seek professional assistance to address these persistent pests. Local contractors specializing in ant extermination can help identify the source of the problem and implement effective solutions to restore comfort and cleanliness to the space.

In everyday situations, property owners might notice ant activity that disrupts outdoor activities or threatens stored food and belongings indoors. These professionals are often called upon when simple DIY methods aren’t enough to control an ongoing ant problem or prevent future infestations. Connecting with experienced service providers ensures that the issue is handled efficiently, allowing property owners to maintain a pest-free environment with trusted local expertise.

Get an Ants Extermination Service Quote

How can I identify an ant infestation in my home? Look for visible ant trails, small piles of dirt or debris near entry points, and the presence of ants in kitchens or other areas with food sources.

What types of ants are commonly treated in extermination services? Common pests include odorous house ants, carpenter ants, and sugar ants, among others, depending on the local area.

What methods do local contractors use to eliminate ants? They typically use targeted baiting, perimeter treatments, and sometimes residual sprays to effectively control ant populations.

Are ant extermination services safe for pets and children? Many service providers use treatments that are safe when applied properly; it’s best to discuss safety concerns with the local contractor during contact.

How can I prevent future ant infestations? Sealing entry points, maintaining cleanliness, and removing food and water sources can help reduce the likelihood of ants returning, with guidance from local service providers.

Ants Prevention Tips - Property owners can learn practical strategies to reduce ant attractants and prevent infestations around their homes.

Inspection and Monitoring - Regular checks can help identify ant activity early, allowing property owners to take timely action with the help of local contractors.

Barrier and Exclusion Methods - DIY or professional barrier techniques can be used to block entry points and keep ants from entering living or storage areas.

Treatment and Removal Options - Guidance on safe and effective treatment methods enables property owners to manage existing ant problems with the assistance of local service providers.

Ants Extermination Service

If you are thinking about Ants Extermination Service for a property, this guide is meant to help you understand the work, the typical project types, and how different options might fit your plans.

When you are ready, you can use the quote form on this page to share a few details about your project. From there, local pros can review the basics and respond with options that match what you have in mind.

Get a Quote

Ants Extermination Quotes